Проект внутрихозяйственного землеустройства
2. Способ промеров
2.1. Определение проектных отрезков.
Для перенесения в натуру проектных точек, расположенных на линиях теодолитного хода, необходимо измерить графически на плане землепользования расстояния от опорных до проектных точек, если эти расстояния не получены путем вычисления при проектировании. Длины измеренных отрезков увязать с общей длиной линии, по которой определены эти отрезки, при этом допустимые расхождения в сумме измеренных отрезков следует рассчитать по формуле
,
где n — число отрезков.
Результаты расчетов свести в таблицу 10.
Таблица 10.
В метрах
|
Название Линии |
Измеренная длина отрезков |
Сумма отрезков |
Теорет. длина линии |
Невязка |
Допуст. невязка |
Поправки |
Увязан. длина |
|
11-8 | |||||||
|
6-5 | |||||||
|
4-3 | |||||||
|
23-Ml | |||||||
|
15-14 | |||||||
|
14-13 |
Задание 5. Составление и оформление технической документации для
перенесения проекта в натуру.
Цель: приобретение практических навыков составления и оформления технической документации для перенесения проекта в натуру.
Содержание и последовательность выполнения:
1. Составление рабочего чертежа для перенесения проекта в натуру;
Порядок и методика выполнения
1. Составление и оформление рабочего чертежа для перенесения проекта в натуру
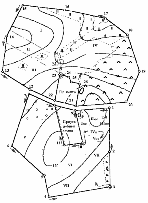
1.1. Составить рабочий чертёж в соответствии с рисунком 18, который является техническим документом при перенесении проекта в натуру. Рабочий чертёж составляют на кальке в масштабе плана землепользования и вычерчивают ситуацию и элементы проекта тушью различными цветами:
чёрной тушью — существующие границы землепользования, граничные знаки и цифровой материал к ним, контуры ситуации и объекты местности;
красной тушью — проектные границы полей с их обозначениями нумерацией по проекту, дороги, скотопрогон, места постановки новых граничных знаков и числовые данные к ним;
синей тушью — проектный теодолитный ход и относящиеся к нему данные (меры линий и углы).
1.2. При составлении рабочего чертежа разработать и указать стрелками маршрут и движения исполнителя, показать условными знаками места постановки вех для получения направления опорных линий при разбивке других участков.
Примеры по опорным линиям от опорной точки до проектных точек подписать нарастающим итогом в направлении движения ленты, перпендикулярно к опорной линии.
На свободном месте рабочего чертежа указать порядок и последовательность движения при перенесении проекта в натуру.
Рисунок 18 — Рабочий чертёж для перенесения проекта в натуру.
Приложение А
ВЫПИСКА
ИЗ ВЕДОМОСТИ КООРДИНАТ ТЕОДОЛИТНЫХ ХОДОВ,
ПРОЛОЖЕННЫХ ПРИ СЪЁМКЕ ГРАНИЦ ЗЕМЕЛЬ ТОО "МИР".
|
№ точек |
Увязанные углы |
Дирекционные углы |
Горизонталные проложения |
Координаты | |
|
X |
Y | ||||
|
1. |
2. |
3. |
4. |
5. |
6. |
|
1. |
2400.0 |
2700.0 | |||
|
179°56' |
1186.6 | ||||
|
2. |
180°19' |
1213.4 |
2701.4 | ||
|
179°37' |
879.6 | ||||
|
3. |
101°52' |
333.8 |
2707.3 | ||
|
257°45' |
1570.8 | ||||
|
4. |
83°27' |
0.5 |
1172.3 | ||
|
354°18' |
574.2 | ||||
|
5. |
210°58' |
571.9 |
1115.3 | ||
|
323°20' |
1167.8 | ||||
|
6. |
129°06' |
1508.6 |
417.9 | ||
|
14°14' |
1337.7 | ||||
|
7. |
80°48' |
2805.2 |
746.9 | ||
|
113°26' |
767.3 | ||||
|
8. |
191°48' |
2500.1 |
1450.9 | ||
|
101°38' |
524.3 | ||||
|
9. |
192°04' |
2394.4 |
1964.4 | ||
|
89°34' |
735.6 | ||||
|
1. |
89°38' |
24000 |
2700.0 | ||
|
22. |
2557.8 |
1452.5 | |||
|
293°55' |
745.3 | ||||
|
12. |
180°00' |
2860.0 |
771.2 | ||
|
293°55' |
804.7 | ||||
|
13. |
107°39' |
3186.2 |
35.6 | ||
|
6°16' |
1006.2 | ||||
|
14 |
156°29' |
4186.4 |
145.3 | ||
|
29°47' |
934.0 | ||||
|
15. |
109°39' |
4997.0 |
609.2 | ||
|
100°08' |
998.9 | ||||
|
16. |
178°1б' |
4821.3 |
1592.5 | ||
|
1. |
2. |
3. |
4. |
5. |
6. |
|
101°52' |
1184.0 | ||||
|
17. |
167°48' |
4577.8 |
2751.2 | ||
|
114°04' |
676.1 | ||||
|
18. |
124°38' |
4302.1 |
3368.5 | ||
|
169°26' |
1041.3 | ||||
|
19. |
140°43' |
3278.5 |
3559.5 | ||
|
208°43' |
929.7 | ||||
|
20. |
119°09' |
2463.1 |
3112.9 | ||
|
2б9°34' |
1159.1 | ||||
|
21. |
167°54' |
2454.3 |
1953.8 | ||
|
281°40' |
511.9 | ||||
|
22. |
177°45' |
2557.8 |
1452.5 | ||
|
8. | |||||
|
101°38' | |||||
|
9. |
111°20' |
2394.4 |
1964.4 | ||
|
170°18' |
918.7 | ||||
|
10. |
92°33' |
1488.8 |
2119.2 | ||
|
257°45' |
476.6 | ||||
|
11. |
88°04' |
1387.7 |
1653.4 | ||
|
349°4 ' |
1130.7 | ||||
|
8. |
68°03' |
2500.1 |
1450.9 | ||
|
21. | |||||
|
281°40' | |||||
|
22. |
90°23' |
2557.8 |
1452.5 | ||
|
11°17' |
576.9 | ||||
|
23. |
89°35' |
3123.5 |
1565.4 | ||
|
101°42' |
189.1 | ||||
|
24. |
133°32' |
3085.2 |
1750.6 | ||
|
148°10' |
81.9 | ||||
|
25. |
228°04' |
3015.0 |
1793.8 | ||
|
100°06' |
216.2 | ||||
|
26. |
94°20' |
2977.7 |
2006.6 | ||
|
185°46' |
526.1 | ||||
|
21. |
84°06' |
2454.3 |
1953.8 | ||
