Технологии производства земляных работ при возведении фундаментовРефераты >> Строительство >> Технологии производства земляных работ при возведении фундаментов
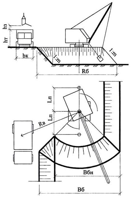
Rmax=7,8
RВ = 0,8*7,8 = 6,24
Ширину торцевой (лобовой) проходки движения по зигзагу определяем по формуле:
ВЛ(З) =![]()
Rp2 - ln2 +( RВ-0,5*ba-1)
Где Rр- радиус резания грунта на уровне дна котлована, принимается по табл. П.1.13. стр.38 метод. указаний.
Rр=6,6 м
Ln – длина рабочей передвижки экскаватора, принимается по табл. П.1.12. стр.37 метод. указаний и зависит от типа оборудования ( прямая/обратная лопата) и от ёмкости ковша.
Ln=1,49 м
ВЛ(З)=![]()
+ (6,24-0,5*2,4-1)=10,46
Ширину боковой проходки определяем по формуле:
ВБ=(RВ – 0,5*ba-1) +
-mhp
ВБ = (6,24-0,5*2,4-1)+
-0,5 *3,05 = 8,94
Результатом расчета раздела является определение схемы разработки грунта в котловане. При определении схемы необходимо выбрать вид первой торцевой проходки экскаватора обратная лопата и её ширину, а также количество боковых проходок и размер каждой из них так, чтобы сумма ширины первой проходки и определенного количества боковых проходок дали бы четко размер котлована по ширине верхней части.
Определение вида торцевой проходки и количества боковых:
1) Торцевая проходка экскаватора обратная лопата, движение по прямой:
а) ВВ – ВЛ(П) = А1 = 25,8-8,08=17,72
б) А1 / ВБ = В1 = 17,72/8,94 = 1,98
В1-количество боковых проходок
2) торцевая проходка экскаватора обратная лопата, движение по зигзагу:
а) ВВ-ВЛ(З) = А2 = 25,8-10,46=15,34
б) А2 / ВБ = В2 = 15,34/8,94 = 1,71
В2 – количество боковых проходок
В результате расчета принимаем следующую схему разработки грунта в котловане:
Первая торцевая проходка по прямой, размером 8,08 м и две боковых проходки, шириной 8,86 м и 8,86м.
Торцевой забой экскаватора ОЛ: 1- экскаватор; 2- автосамосвал; 3- ось движения экскаватора; 4- ось движения автосамосвала.
Уширенный торцевой забой экскаватора ОЛ: 1- экскаватор; 2- автосамосвал; 3- ось движения экскаватора; 4- ось движения автосамосвала
Боковой забой экскаватора обратная лопата
8 ГРАФИК ПРОИЗВОДСТВЕННЫХ РАБОТ
Календарный план производства земляных работ построен на разработку грунта в котловане с учетом совмещения технологических операций во времени для бульдозера и экскаватора.
Плановая продолжительность работ определяется на основе нормативной, путем округления последней до смены или пол-смены.
ТН=Тр/Nм*Тсм*Nсм
Строим календарный план по плановой продолжительности работ.
При производстве земляных работ принимается последовательный метод производства работ.
|
Наименование работ |
Объем работ |
Трудоемкость работ (Маш-ч) |
Необходимые механизмы |
Число смен |
Нормативная продолжительность (ТН) |
Плановая продолжительность (Тпл) | ||
|
Ед. Изм. |
Кол-во |
марка |
Кол-во | |||||
|
1. Срезка растительного слоя грунта I категории бульдозером ДЗ-42 |
1000 м2 |
3,123 |
2,62 |
Бульдозер ДЗ-42 |
1 |
2 |
0,16 |
0,25 |
|
2. Транспортирование ранее разработанного растительного слоя грунта I категории бульдозером ДЗ-42 на расстояние L1=34,1м |
100 м3 |
6,24 |
16,09 |
Бульдозер ДЗ-42 |
1 |
2 |
1,005 |
1 |
|
3. Разработка растительного слоя грунта I категории экскаватором прямая лопата ЭО-2621А с ёмкостью ковша 0,25м3 с погрузкой в транспортное средство |
100 м3 |
6,24 |
21,84 |
ЭПЛ ЭО-2621А |
1 |
2 |
1,36 |
1,25 |
|
4. Разработка грунта I категории в съездной траншее экскаватором обратная лопата с ёмкостью ковша 0,5м3 с погрузкой в транспортное средство |
100 м3 |
0,76 |
2,12 |
ЭОЛ ЭО-3322 |
1 |
2 |
1,13 |
1 |
|
5. Разработка грунта I категории в котловане экскаватором обратная лопата с ёмкостью ковша 0,5м3 с погрузкой в транспортное средство |
100 м3 |
28,16 |
78,86 |
ЭОЛ ЭО-3322 |
1 |
2 |
4,92 |
5 |
|
6. Разработка недобора грунта II категории в котловане бульдозером ДЗ-42 с транспортированием на расстояние L2=45,6м |
100 м3 |
1,58 |
7,01 |
Бульдозер ДЗ-42 |
1 |
2 |
0,43 |
0,5 |
|
7. Разработка (погрузка) ранее разработанного грунта I категории экскаватором обратная лопата с ёмкостью ковша 0,5м3с погрузкой в транспортное средство. |
100 м3 |
1,58 |
4,42 |
ЭОЛ ЭО-3322 |
1 |
2 |
0,27 |
0,25 |
|
8. Окончательное планирование дна котлована бульдозером ДЗ-42 |
1000 м2 |
0,068 |
0,033 |
Бульдозер ДЗ-42 |
1 |
2 |
0,002 |
0,25 |
9 РАСЧЕТ ТЕХНИКО-ЭКОНОМИЧЕСКИХ ПОКАЗАТЕЛЕЙ КОМПЛЕКТА МАШИН
