Свойства горных пород. Характеристика грунтов
1. α = 4π2А/Т2; α = 4 (3,14)2 7/0,552; α = 920 мм/с2
KS = α/g; KS = 920 10–3/10; KS = 0,092 α/мм
2. S = KS*P; S = 0,092 5500; S = 506 т
3. Так как сейсмическое ускорение равно 920 мм/с2, то сила землетрясения равна 9 баллам.
4. а) расчетная бальность равна 10 баллам
б) расчетная бальность равна 8 баллам
Участок с рыхлыми осадочными пародами неблагоприятен для строительства, так как при сейсмическом сотрясении, рыхлые породы энергично доуплотнятся и будут разрушать выстроенные на них здания и сооружения.
Задание 4
Описать подземные межмерзлотные воды, особенности их существования и движения. Охарактеризовать водоносный горизонт, заключающий эти воды, особенности его питания и разгрузки, его значения для целей водоснабжения. Описание проиллюстрировать схематическими рисункам.
Межмерзлотные воды – подземные воды, залегающие или перемещающиеся внутри толщи или между слоями многолетнемёрзлых пород. Межмерзлотные воды имеют связь c над- и подмерзлотными и водами таликов. B случае утери связи вследствие промерзания межмерзлотные воды переходят в категорию внутримерзлотных вод. По происхождению, степени минерализации и темп-ры межмерзлотные воды делятся на две группы. Первая включает криогалинные воды, во вторую группу входят пластово-поровые и пластово-трещинные слабоминерализованные воды, образующиеся вследствие неполного многолетнего протаивания мёрзлой толщи и последующего частичного промерзания несквозного талика. Такие системы чередующихся в разрезе межмерзлотных вод и мёрзлых слоев во времени термодинамически неустойчивы: линзы межмерзлотных вод или промерзают сверху, или протаивают подстилающий их мёрзлый слой. Известны устойчивые межмерзлотные воды. Иx питание происходит на междуречьях, разгрузка - в долинах. Межмерзлотные водоносные "тоннели" поддерживаются за счёт движения подземных вод; при прекращении питания и при похолоданиях они промерзают. M. в. обычно мало пригодны для практического использования вследствие ослабленного водообмена, малых запасов и часто застойного режима. Межмерзлотные воды осложняют проходку горных выработок в шахтах и разработку открытым способом в многолетнемёрзлых породах. При откачках дебит межмерзлотных воды часто возрастает из-за протаивания вмещающих мёрзлых пород вследствие увеличения интенсивности водообмена.
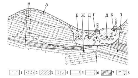
Распределение подземных вод в многолетнемерзлых породах: А – надмерзлотные воды, Б – воды несквозного подозерного талика, В – воды сквозного питающего талика, Г – воды сквозного подруслового талика, Д – межмерзлотные воды, Е – внутримерзлотные воды, Ж – подмерзлотные воды контактирующие, З – подмерзлотные воды неконтактирующие; 1 – пески; 2 – гравийно-галечные отложения; 3 – суглинки; 4 – щебень и дресва; 5 – известняки; 6 – песчаники; 7 – сланцы; 8 – граница многолнтнемерзлых пород
Задание 5
Определить коэффициент фильтрации массива водоносных песков по результатам откачки из одиночной совершенной скважины. Водоносный горизонт – грунтовый. Схему проведения опыта показать на рисунке.
|
Мощность водоносного горизонта Н, м |
Дебит скважины Q, м/сут |
Понижение уровня воды в скважине, S0, м |
Радиус | |
|
влияние скважины R, м |
скважины r, м | |||
|
8 |
644 |
2 |
69 |
0,3 |
Кф = Q ln(R/r)/π (2H – S) S
Кф = 644 5,43/3,14 (2 8 – 2) 2
Кф = 40 м/сут
Задание 6
Определить приток воды к совершенной дренажной канаве, отводящей подземные воды грунтового водоносного горизонта (приток воды к канаве происходит с двух сторон). Расчет проиллюстрировать схематическим рисунком.
|
Мощность водоносного горизонта Н, м |
Величина понижения уровня воды в канаве S, м |
Коэффициент фильтрации Кф, м/сут |
Длина дренажной канавы В, м |
|
3,2 |
3,0 |
50 |
70 |
Q = Kф В (Н2 – h2)/R
R = 2 S H Kф
R = 2 3 3,2 50
R = 76 м
h = H – S
h = 3,2 – 3,0
h = 0,2 м
Q = 50 70 (3,22 – 0,22)/76
Q = 470 м/сут
Задание 7
Составить описание геологических процессов и явлений.
– причины образования процессов и явлений, стадии их протекания, специфические черты и особенности;
– условия строительства в районах, подверженных данным процессам;
– инженерно–геологическое значение этих процессов, мероприятия, устраняющие их вредное влияние на условия строительства и эксплуатации сооружений.
Гравитационные процессы на склонах
Горные породы, слагающие склоны, очень часто находятся в неустойчивом положении. При определенных условиях и под влиянием гравитации они начинают смещаться вниз по склонам рельефа. В результате этого возникают осыпи, курумы, обвалы и оползни.
Осыпи. На крутых склонах, особенно в горных районах, где развиты скальные породы, активно действует процесс физического выветривания. Породы растрескиваются и обломки скатываются вниз по склонам до места, где склон выполаживается. Этот процесс называется осыпанием. Так, у подножья склонов накапливаются продукты осыпания – глыбы, щебень, более мелкие обломки – и образуются валы — осыпи. Мощность осыпей различна и колеблется от нескольких до десятков метров.
В состав осыпей входят обломки тех горных пород, которые слагают склоны. Ведь породы зачастую определяет крупность обломков осыпи. Так, массивные кристаллические породы дают крупнообломочные (глыбовые) осыпи. Менее прочные породы образуют среднеобломочные (щебеночные) и мелкообломочные (дресвяные) осыпи. Сланцы и осадочные породы (известняки, мергели, песчаники и др.) порождают разнообломочные накопления, состоящие из обломков различной формы (плитчатой, пластинчатой и т. д.) и размеров.
Характерной особенностью осыпей является их подвижность. По «знаку подвижности их подразделяют на действующие, находящиеся в стадии интенсивного движения, затухающие и неподвижные.
Действующие осыпи лишены всякой растительности. Масса обломков нарастает и находится в рыхлом, весьма неустойчивом положении и приходит в движение за счет увеличения общего веса, сильном увлажнения, подрезки нижней части осыпи, дорогами, от землетрясений и даже от более мелких сотрясений, возникающих при работе механизмов или движении транспорта.
