Определение интервалов притока и поглощения с помощью дебитомеров
Конструктивно прибор СТД похож на скважинный электротермометр. Сопротивление датчика помещают в металлическую трубку диаметром 8 мм и длиной 300 мм; для уменьшения постоянной времени свободное пространство в трубке заливают металлическим сплавом с температурой плавления 80 – 130°С.
Исследования дебитомерами, как правило, проводят в действующих скважинах. Лишь при необходимости установления межпластовых перетоков иногда исследуют остановленные скважины.
В скважинах, эксплуатируемых фонтанным или компрессорным способом, а также в наблюдательных скважинах приборы опускают через специальное устройство – лубрикатор, позволяющее проводите заботы без остановки скважины при буферном давлении на устье. При этом используют бронированный кабель наименьшего диаметра (КОБДФМ-2).
Исследование дебитомерами, опускаемыми через насосно-компрессорные трубы (НКТ), возможно лишь в части разреза, расположенной ниже НКТ. В скважинах, эксплуатируемых глубинными насосами, дебитомеры можно спускать в межтрубье. Спуск приборов через лубрикатор, особенно при высоком буферном давлении, относится к числу опасных работ и должен проводиться согласно специальным инструкциям для каждого типа лубрикатора.
Исследования могут проводиться при непрерывном движении прибора в скважине либо «по точкам», т. е. на отдельных глубинах при неподвижном приборе. Последний способ наиболее типичен для пакерных дебитомеров с абсолютным пакером. При обработке результатов, используя данные эталонировкп прибора, от импульсов в минуту переходят к абсолютным величинам – дебиту в кубических метрах в сутки. При отсутствии градуировочного графика дебит выражают в относительных величинах — долях от полного дебита выше интервала перфорации или фильтра. Рассчитанные таким образом величины откладывают по абсциссе диаграммной бумаги против соответствующих отметок глубины. Обычно из-за неустойчивости потока, различных помех и погрешностей измерений точки на графике имеют некоторый разброс, поэтому через них проводят усредняющую кривую. Крупные погрешности, связанные с засорением турбинки и т. п., исключают путем повторных исследований.
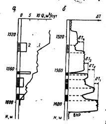
Полученная кривая, показывающая количество (долю) жидкости, проходящей через сечение скважины на различных глубинах, называется интегральной дебитограммой (рис. 3, а, кривая 1), Она показывает суммарный дебит всех пластов, расположенных ниже данной глубины. В интервалах притока на такой дебитограмме наблюдается рост показаний, а в интервалах поглощения их уменьшение. Приращение показаний в определенном интервале пропорционально количеству жидкости отдаваемой (поглощаемой) этим интервалом. Так на рис 174 притоки жидкости наблюдаются в четырех интервалах отмеченных стрелками, причем наибольшая часть притока (7 мз/сут или около 40%) связана с верхним интервалом (1529-1539 м). Далее по интегральной дебитограмме строят дифференциальную дебитограмму (см. рис. 3,а, кривая 2), показывающую интенсивность притока (поглощения) на единицу мощности пласта. Для получения абсцисс этой кривой приращения показаний на интегральной кривой делят на мощность интервала, в котором наблюдается соответствующее приращение.
Непрерывную регистрацию диаграмм изменения дебита с глубиной осуществляют беспакерными дебитомерами или дебитомерами с неполной пакеровкой. Замеры можно проводить как при подъеме, так и при спуске прибора в скважину. При обработке дебитограмм необходимо вводи п. поправку на скорость, движения прибора, так как измеряемая прибором скорость есть скорость относительного движения жидкости (газа) и прибора и отличается от истинной скорости потока на скорость движения прибора. Если прибор движется навстречу потоку, чувствительность турбинных дебитомеров возрастает. Скорость движения должна быть выше стартовой скорости вертушки (той скорости потока, ниже которой он не в состоянии стронуть вертушку).
Рис. 3. Примеры дебитограмм, зарегистрированных турбинным (а) и термоэлектрическим (б) дебитомерами.1 – интегральная дебитограмма; 2 – дифференциальная дебитограмма.
На рис. 3, б изображена схематическая дебитограмма, полученная термодебитомером. При переходе через интервал, на котором в скважину поступает жидкость, следовательно, изменяется скорость движения потока, за счет изменения теплообмена изменяется сопротивление чувствительного элемента. По этому изменению и выделяют отдающий интервал. Вследствие более сильного влияния потока жидкости, перпендикулярного' к оси прибора (радиального потока), по сравнению с потоком вдоль оси скважины в кровле отдающих жидкость интервалов (но не всегда) наблюдается минимум, выше которого отмечается некоторый рост показаний. Подошва интервала поступления жидкости в скважину отмечается по началу спада кривой (при движении прибора снизу вверх), а кровля – по минимуму или (при его отсутствии) по точке перегиба кривой. Количественное определение дебита проводят по разнице dТ между показаниями DТ ниже интервала и выше интервала притока (после прохождения указанного выше переходного участка непосредственно после минимума). Переход от значений dТ к дебиту осуществляют по градуировочной кривой.
Поскольку теплопроводность нефти, газа и воды различна, приращение сопротивления для трех сред при одной и той же скорости потока различна. Поэтому эталонировочная кривая должна быть получена для каждой из этих сред. Из-за различия теплопроводности сред термодебитомер показывает изменение показаний при переходе через раздел вода – нефть или вода – газ.
Чувствительность показаний к характеру флюида затрудняет выполнение количественной интерпретации термодебитограммы, если в скважине движется многофазная смесь, и часто дебитограммы позволяют лишь выделять интервалы притока без количественного определения их дебитов. Но в комплексе с дебитограммой, полученной механическими дебитомерами, зависимость показаний от состава флюида часто позволяет судить о его составе и может рассматриваться даже как преимущество.
Основные помехи при дебитометрии следующие: 1) неполнота пакеровки из-за нарушения пакера или неплотного прилегания его к трубе; 2) изменение внутреннего диаметра обсадных труб, обусловливающее погрешность в определении дебита при исследованиях с беспакерными приборами пли с приборами с неполном пакеровкой; 3) нарушение герметичности цементного кольца, приводящее к тому, что часть жидкости (газа) движется по заколонному пространству; влияние этого фактора особенно велико при замерах пакерными приборами; 4) образование столба жидкости в забое, частично или полностью перекрывающего интервалы поступления нефти или газа; влияние этого фактора особенно существенно для беспакерных дебитомеров.
Наконец, скорость потока меняется в зависимости от положения прибора относительно стенки скважины. Эта зависимость особенно сильна для приборов малого диаметра, поэтому они должны снабжаться центрирующими фонарями.
Вопрос № 2.
Технология проведения геофизических исследований в скважинах.
