Фазы водного режима
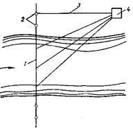
1 — промерный створ, 2 —вешки, 3 — базис, 4 — угломерный инструмент
Рисунок 2.5 – Определение положения промерных точек на поперечнике с помощью угломерного инструмента.
Расстояния между поперечниками назначают в зависимости от ширины реки, рельефа дна, задач промерных работ. Обычно они составляют 1/3-1/4 ширины реки. Место установки геодезического инструмента на базисе выбирают так, чтобы с одной стоянки хорошо просматривался ряд поперечников вверх и вниз по течению, а углы между направлением поперечника и лучом визирования были не менее 30°.
При использовании мензулы приводят планшет в горизонтальное положение, ориентируют по сторонам света, наносят точку стоянки, базис, поперечники, контур берегов по урезам. Промеры выполняют с лодки (или катера), перемещающейся от одного берега к другому строго в створе поперечника. Мензу-лист в кипрегель следит за лодкой и по сигналу с нее в момент измерения глубины наводит вертикальную ось визирования на наметку или лотлинь, делает засечку на соответствующем поперечнике и записывает номер промерной точки и цвет сигнального флажка. Обычно сигналы подаются поочередно красным и белым флажками. Сигнальщик на лодке записывает в журнал номер поперечника, номер промерной точки, цвет флажка и глубину. К промерам на следующем поперечнике приступают только после сверки количества промерных точек в журнале и на планшете для поперечника, где проведены измерения.
Рисунок 2.6 – Схема промеров по продольникам (а) и косым галсам (б)
Количество промерных вертикалей на поперечнике назначают в зависимости от ширины реки и рельефа дна. В среднем на реках шириной до 500 м их число должно составлять 20—30, а при ширине реки более 500 м — от 25 до 50. При плавном изменении рельефа дна промерные вертикали назначают реже, а при неровном дне — чаще в соответствии с особенностями профиля дна.
При больших скоростях течения (более 1,5 м/с), когда лодку (катер) трудно удержать в створе поперечника, переходят к измерениям глубин по продольникам и косым галсам.
При промерах по продольникам (рис. 2.6 а) на базисе устанавливают два угломерных инструмента (мензулы с кипрегелями, теодолиты и т.п.). Лодка (катер) перемещается по течению примерно параллельно береговой линии. В момент измерения глубины по сигналу с лодки засекается положение промерной вертикали одновременно двумя инструментами. Продольники назначаются обычно через 1/10-1/20 ширины реки, у берега чаще, чем в средней части реки.
При промерах по косым галсам (рис. 2.6 б) лодка под воздействием течения пересекает реку под углом 30-45° к фарватеру; траектория движения имеет вид кривой линии (галс). Промеры и засечки координат промерных точек при этом способе выполняют так же, как и по продольникам, применяя два угломерных инструмента. Галсы располагают примерно через 1/4-1/2 ширины реки.
В зимний период при наличии прочного ледяного покрова промеры глубины выполняют со льда. Расстояние от постоянного начала до промерных вертикалей измеряют мерной лентой или по размеченному тросу. В точках промеров пробивают лунки. Глубину измеряют от уровня воды в лунке наметкой или ручным лотом с лотлинем из мягкого стального троса. Кроме того, определяют толщину льда и глубину его погружения в воду.
Рисунок 2.7 – Схема определения координат промеров радиогеодезическим методом
Способы промерных работ на озерах и водохранилищах зависят от их размеров. На небольших водоемах промеры обычно выполняют по поперечникам, располагая их приблизительно перпендикулярно к продольной оси водоема. Базис разбивают на одном из берегов, а поперечники закрепляют створными знаками в зависимости от ширины водоема на одном или двух берегах. Число промерных профилей назначают в зависимости от рельефа дна. При ровном дне поперечники разбивают через 200-500 м, а при сложном рельефе дна — через 50 м. Расстояния между промерными вертикалями на профиле принимают равными 10-20 м и более на водоемах с плавным очертанием дна и 5-10 м — при сложном рельефе.
На крупных озерах и водохранилищах, когда отсутствует прямая видимость берегов, координирование промеров выполняют радиогеодезическими методами. На берегу разбивают базис, на концах которого устанавливают две радиостанции, называемые отражающими (ОРС). Третья радиостанция — задающая (ЗРС) — размещается на судне (рис. 2.7). При движении судна по заданному галсу производится измерение глубины эхолотом. Местоположение судна засекают с помощью непрерывно работающих задающей и отражающих радиостанций.
Список литературы
1. Бочкарев Я.В., Овчаров Е.Е. Основы автоматики и автоматизация производственных процессов в гидромелиорации, — М.: Колос, 1981. — 336 с.
2. Быков В.Д., Васильев А.В. Гидрометрия. — Л.: Гидрометеоиздат, 1977 — 447 с.
3. Водохранилища мира. Институт водных проблем АН СССР.— М.: Наука. 1979.—282 с.
4. Гуральиик И.И., Дубинский Г.П., Ларин В.В., Маликонова С.В. Метеорология.-—Л.: Гидрометеоиздат, 1982.— 440 с.
5. Железняков Г.В., Неговская Т.А., Овчаров Е.Е. Гидрология, гидрометрия и регулирование стока.— М.: Колос, 1984.— 431 с.
6. Гидрологические расчеты при осушении болот и заболоченных земель / Под ред. К.Е. Иванова.— Л.: Гидрометеоиздат, 1963.— 447 с.
7. Карасев И.Ф. Речная гидрометрия и учет водных ресурсов.— Л.: Гидрометеоиздат, 1980.— 312 с.
8. Лучшева А.А. Практическая гидрометрия. — Л.: Гидрометеоиздат. 1983,—423 с.
9. Лучшева А.А. Практическая гидрология.— Л.: Гидрометеоиздат, 1976,— 440 с.
10. Плешков Я.Ф. Регулирование речного стока. — Л.: Гидрометеоиздат, 1975.—560 с.
11. Рекомендации по расчету испарения с поверхности суши.— Л.: Гидрометеоиздат, 1976. — 94 с.
12. Рождественский А.В., Чеботарев А.И. Статистические методы в гидрологии.— Л.: Гидрометеоиздат, 1974. — 422 с.
13. Строительные нормы и правила. Определение расчетных гидрологических характеристик. СНиП 2.01.14-83. М.: Государственный комитет по делам строительства, 1985. - 97 с.
14. Хамадов И.Б., Бутырип М.В. Эксплуатационная гидрометрия в ирригации.— М.: Колос, 1975. — 208 с.
15. Шумков И.Г. Речная аэрогидрометрия. — Л.: Гидрометеоиздат, 1982. — 29S с.
