Расчет спутникового канала Алматы-АтырауРефераты >> Коммуникации и связь >> Расчет спутникового канала Алматы-Атырау
.
Для реальной станции для С-диапазона предлагается использование передатчика мощностью 5 Вт.
Рассчитаем мощность, требующуюся при работе удаленной станции на центральную станцию по формуле (2.8):
Переведем Рпер.З в ватты:
.
При работе удаленной станции на центральную требуется мощность 1,26 Вт, что показывает работоспособность станции с мощностью передатчика 5 Вт.
Исходя из расчетов по мощности и энергетике радиолиний, делаем вывод о том, что система реализована для существующего оборудования.
2. Расчет электромагнитной совместимости системы для Казахстана при использовании ИСЗ AsiaSat 2
Расчет электромагнитной совместимости системы основан на представлении, что по мере возрастания уровня мешающего излучения, увеличивается шумовая температура системы, подвергающейся помехам.
Согласно этому методу рассчитывается кажущееся увеличение эквивалентной шумовой температуры линии, обусловленное помехами, создаваемыми мешающей станцией и отношение этого увеличения к эквивалентной шумовой температуре спутниковой линии, выраженное в процентах /7/.
Для конкретного случая выберем земную станцию, находящуюся на территории России в Москве; эта станция является мешающей станцией для проектируемой системы и наоборот. Данные по этой станции приведены в таблице 3.1.
Мешающая система работает на тех же частотах, что и проектируемая и использует искусственный геостационарный спутник Горизонт Стационар 12, находящийся на 40° в.д., максимальная плотность потока мощности в полосе 1 Гц, подводимая к антенне спутника, усредненная в наихудшей полосе шириной 4 кГц, равна –57 дБ·Вт/Гц.
Таблица 3.1 – Параметры мешающей системы для расчета электромагнитной совместимости
| Параметр | Величина |
|
Широта, ° с.ш. | 55 |
|
Долгота, ° в.д. | 38 |
|
Диаметр антенны, м | 6 |
|
Максимальная плотность мощности, подводимая к антенне, усредненная к наихудшей полосе, шириной 4 кГц, дБ·Вт/Гц | -34 |
|
Коэффициент передачи спутниковой линии на пути вниз | 0,032 |
|
Шумовая температура, К | 350 |
Методика расчета приведена в /7/ и сводится к определению приращения шумовой температуры по следующим формулам:
, (3.1)
где
- приращение шумовой температуры на пути вверх, дБ;
- максимальная плотность мощности в полосе 1 Гц, подводимая к антенне передатчика станции мешающей, усредненная в наихудшей полосе, шириной 4 кГц, дБ;
- усиление антенны, работающей на передачу земной станции ЗС1, в направлении спутника С2, дБ;
- усиление приемной антенны спутника С2 в направлении ЗС1, дБ;
k - постоянная Больцмана;
Lu - затухание при распространении волны вверх, дБ.
, (3.2)
где
- приращение шумовой температуры на пути вниз, дБ;
- максимальная плотность потока мощности в полосе 1 Гц, подводимая к антенне спутника С1, усредненная в наихудшей полосе шириной 4 кГц, дБ;
- усиление передающей антенны спутника С1 в направлении земной станции ЗС2;
- усиление антенны приемной станции ЗС2 в направлении спутника С1, дБ;
Ld - затухание при распространении волны вниз.
, (3.3)
где
- кажущееся увеличение эквивалентной шумовой температуры всей спутниковой линии, К;
- коэффициент передачи конкретной спутниковой линии.
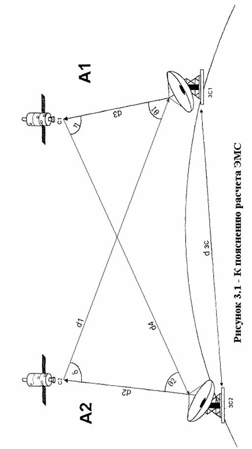
На рисунке 3.1 приведены все расстояния и углы, определенные в расчете. Система А1, связанная со спутником С1 и земной станции ЗС1 является мешающей для системы А2, состоящей из спутника С2 и земной станции ЗС2.
Определим неизвестные величины для формул (3.2) и (3.3):
Расстояние от станции до спутников по формуле (2.1):
а) Алматы:
;
;
б) Москва:
;
.
Далее определим расстояние между земными станциями:
, (3.4)
где
;
;
;
;
;
,
где R - радиус Земли (R = 6370 м);
- широта Алматинской станции;
- долгота Алматинской станции;
- широта Московской станции;
- долгота Московской станции.
Определим топоцентрические углы
и
/7/:
; (3.5)
