Болезнь Боткина - Острый вирусный гепатит


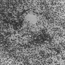
Во II фазе — разгар заболевания (желтушный период) — количество клеточных инфильтратов в портальных полях увеличивается, они содержат примесь плазматических клеток и сегментоядерных лейкоцитов, располагаются то диффузно, то перилобулярно вокруг желчных прекапилляров (холангиол), то вокруг вен или желчных протоков портальной триады. (см. отд. табл., рис. 2). Разрыхление стромы, отек и инфильтраты могут распространиться и на стенку желчного пузыря, особенно на его ложе (процессы, которые возникают иногда еще в преджелтушном периоде заболевания). Некрозы эпителиальных клеток нарастают, могут сосредоточиться в центрах долек, обусловливая разрежение их. Значительно нарастают процессы регенерации печеночных клеток, причем митотическое деление сменяется амитотическим. Помимо внутридольковой, отмечается регенерация и по периферии долек в виде пролиферирующих холангиол. Увеличиваются и внутридольковые клеточные инфильтраты. Некоторые желчные капилляры заполняются желчными тромбами, чему соответствуют клинически выраженные признаки механической желтухи. В этой фазе отмечается некоторое огрубение стромы: пролиферация и коллагенизация аргирофильных волокон как внутри дольки, так и по ее периферии.
В III фазе (период выздоровления) перипортальные инфильтраты уменьшаются, убывает количество некротизированных печеночных клеток, нарастают процессы амитотического деления клеток. Внутрпдольковая пролиферация мезенхимальных клеток стихает, становится более очаговой и узелковой.
Еще некоторое время после клинического выздоровления о незаконченности процессов восстановления свидетельствуют: лимфогистиоцитарные инфильтраты в портальной зоне (рис. 2), полиморфизм печеночных клеток, обилие многоядерных печеночных клеток, наличие липофусцина, а иногда и железосодержащего пигмента в ретикулярных клетках и наличие желчных тромбов в отдельных желчных капиллярах. Спустя более или менее длительный период (3—4 мес.) после перенесенной Б. б., наступает либо полное морфологическое восстановление, либо обнаруживаются остаточные изменения, выражающиеся в очаговом, портальном или центральном фиброзе; последний, как показывают исследования сериальных пункционных биопсий печени, с течением времени иногда полностыо исчезает. Интенсивность описанных воспалительных, некротических и регенеративных процессов может значительно варьировать: в некоторых случаях легкого течения II фаза полностью выпадает, и I фаза непосредственно переходит в III. Морфологические изменения печени при желтушной и безжелтушной формах Б. б. при инфекционном гепатите (спонтанном) и при сывороточном (шприцевом) одинаковы. Морфологические изменения печени при рецидивах Б. б. и повторных заболеваниях аналогичны изменениям при острой форме.
Одним из возможных вариантов течения Б. б. является перихолангиолитическпй или холестатический гепатит, при котором клинически на первый план выступают признаки механической желтухи (более или менее выраженные и при обычном течении болезни) при отсутствии препятствий во внепеченочных желчных ходах. При микроскопическом исследовании находят:
1) нерезкие изменения печеночных клеток;
2) наличие клеточных инфильтратов по периферии печеночных долек, вокруг желчных прекапилляров — холангиол, а также вокруг желчных протоков портальной триады;
3) явления внутрипеченочного стаза с желчными тромбами в желчных капиллярах и прекапиллярах. Течение болезни чаще затяжное с длительной желтухой.
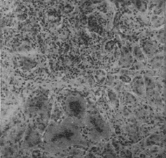
Морфологическим своеобразием отличается Б. б. у новорожденных, возникающая в результате трансплацентарной передачи вируса плоду от беременной больной или вирусоносительницы. Своеобразие это заключается в присутствии многоядерных гигантских клеток типа симпластов, встречающихся при вирусном гепатите также у детей раннего возраста (рис. 3), иногда и у взрослых. Есть основания предполагать (Тер-Григорьева), что внутрипеченочные атрезии желчных путей, обнаруживаемые у новорожденных, могут быть патогенетически связаны или с внутриутробным гепатитом плода, или с порочным развитием печени плода в результате трансплацентарного воздействия вирусной инфекции беременной. Описываются также врожденные
пороки развития центральной нервной системы у детей, матери которых страдали
Боткина болезнью на ранних этапах беременности.
В небольшом проценте случаев обычное течение Б. б. осложняется массивным некрозом печеночных клеток, что сопровождается клинической картиной острой недостаточности печени и квалифицируется анатомически как острая токсическая дистрофия печени или острая атрофия. Отмечаемые макроскопически дряблость печени и уменьшение ее размеров (рис. см. отд. табл., рис. 3) зависят но только от гибели паренхимы, но и от уменьшения кровенаполнения в спавшейся строме. При более медленном развитии некрозов — при подострой дистрофии печени — на фоне большой убыли паренхимы и воспалительных инфильтратов четко выступают процессы регенерации и некоторая коллагенизация стромы, что обусловливает более плотную консистенцию печени. Исход острой и подострой дистрофии печени — летальный или в узловую гиперплазию с рубцеванием, или в постнекротический цирроз печени.
Из внепеченочных изменений, наблюдаемых при острой и подострой дистрофии печени, осложняющих Б. б., наблюдаются: в мозгу резкие пиркуляторные нарушения, тяжелые дистрофические изменения нервных клеток; в почках — дистрофические изменения, доходящие до некротического нефроза; острые некрозы в поджелудочной железе; геморрагический диатез; нередко асцит в сочетании с отеками; гиперплазия портальных лимфатических узлов и селезенки с миелозом пульпы; дистрофия мышцы сердца; умеренный глыбчатый распад волокон поперечноисчерченных мышц (особенно икроножных).
У лиц, перенесших острую форму Б. б., наблюдаются нередко функциональные нарушения при отсутствии в печени морфологических признаков воспаления (билиарно-болевой синдром, связанный с дискинезиямн желчных путей; рецидивирующая постгепатическая гипербилирубинемия и др.); они имеют обычно благоприятный исход.
Затяжные и хронические формы Б. б. можно разделить на 2 группы:
